Survey Plan Details
Details
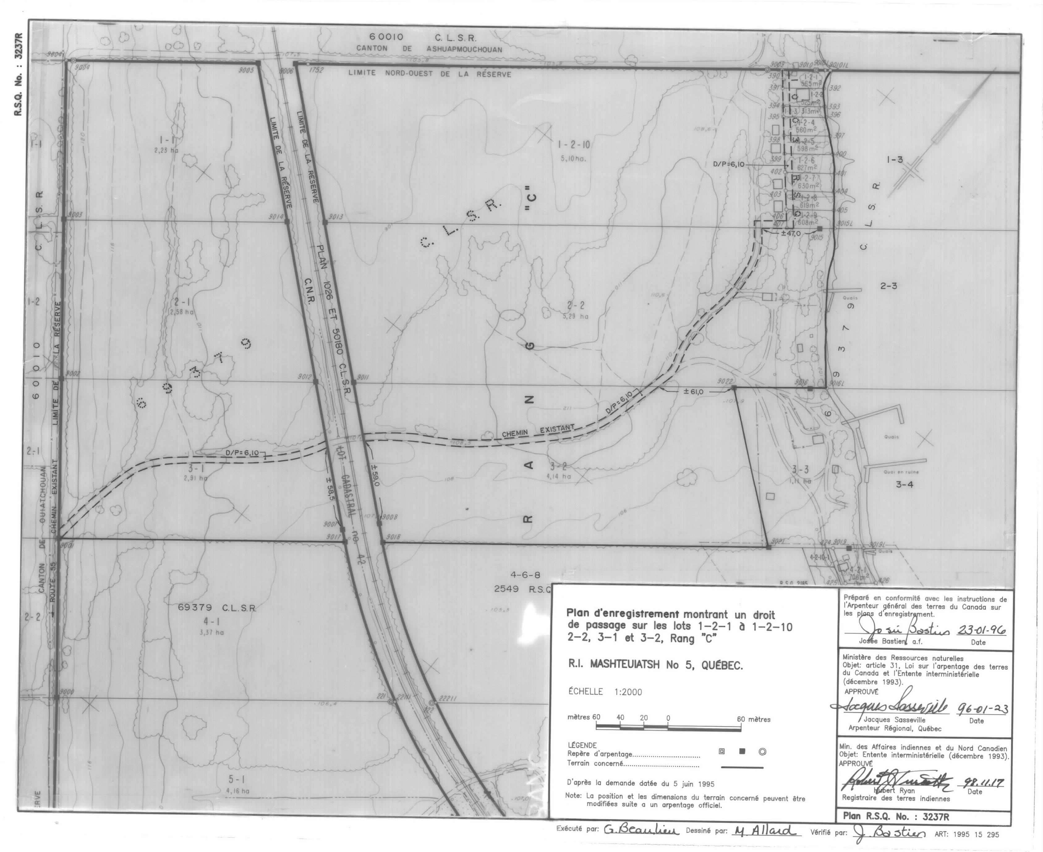
| Plan Number | 3237R RSQ QC |
|---|---|
| Title | PLAN D'ENREGISTREMENT MONTRANT UN D/P SUR LES LOTS 1-2-1 À 1-2-10, 2-2, 3-1 ET 3-2, RANG C. (fra; CAN) |
| Description | ART.:1995 15 295 |
| Surveyor | BASTIEN, J. (1512) |
| Canada Land(s) | MASHTEUIATSH (06101) |
| First Nation | PREMIÈRE NATION DES PEKUAKAMIULNUATSH |
| Date Surveyed | |
| Date Recorded | 2002-11-01 |
| Project Number |
Related Documents
| Document Type | Related Number | Remarks |
|---|---|---|
| ASSOCIATED NUMBER | 1003 RSQ QC | |
| ASSOCIATED NUMBER | 69379 CLSR QC |
Plan Images and/or Fieldbooks
| File Name | File Size | Last Modified Date | File Format |
|---|---|---|---|
| rsq3237r.jpg | 100.65 KB | 2005-06-24 | JPG |
| rsq3237r.djvu | 68.86 KB | 2005-06-24 | DJV |
| rsq3237r-rsq.jpg | 578.05 KB | 2005-06-24 | JPG |
| 3237RRSQQC.PDF | 1.74 MB | 2021-09-27 |
This record is licensed under the Open Government Licence - Canada.