Survey Plan Details
Details
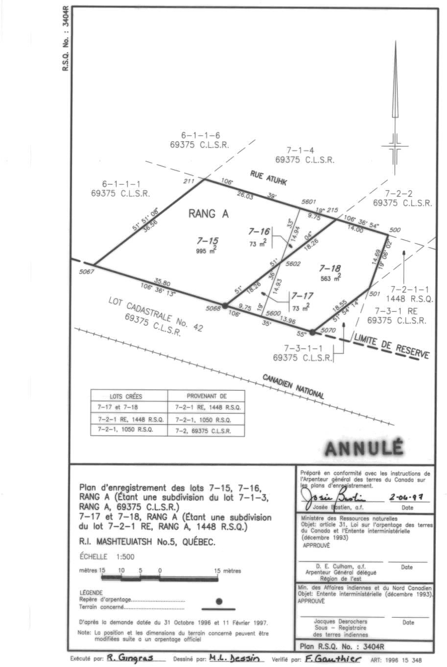
Survey Plan Details
| Plan Number |
3404R RSQ QC |
| Title |
PLAN D'ENREGISTREMENT DES LOTS 7-15, 7-16 ET DES LOTS 7-17 ET 7-18, RANG A (ANNULÉ). (fra; CAN)
|
| Description |
ART.:1996 15 348 |
| Surveyor |
BASTIEN, J. (1512)
|
| Canada Land(s) |
MASHTEUIATSH (06101)
|
| First Nation |
PREMIÈRE NATION DES PEKUAKAMIULNUATSH |
| Date Surveyed |
|
| Date Recorded |
2002-11-01 |
| Project Number |
|
Related Documents
Related Documents
| Document Type |
Related Number |
Remarks |
| ASSOCIATED NUMBER |
69375 CLSR QC
|
|
Plan Images and/or Fieldbooks
Plan Images and/or Fieldbooks
| File Name |
File Size |
Last Modified Date |
File Format |
|
3404RRSQQC.PDF |
655.71 KB |
2021-06-14 |
PDF |
|
rsq3404r.djvu |
14.79 KB |
2005-06-24 |
DJV |
|
rsq3404r.jpg |
118.85 KB |
2005-06-24 |
JPG |
This record is licensed under the Open Government Licence - Canada.