Survey Plan Details
Details
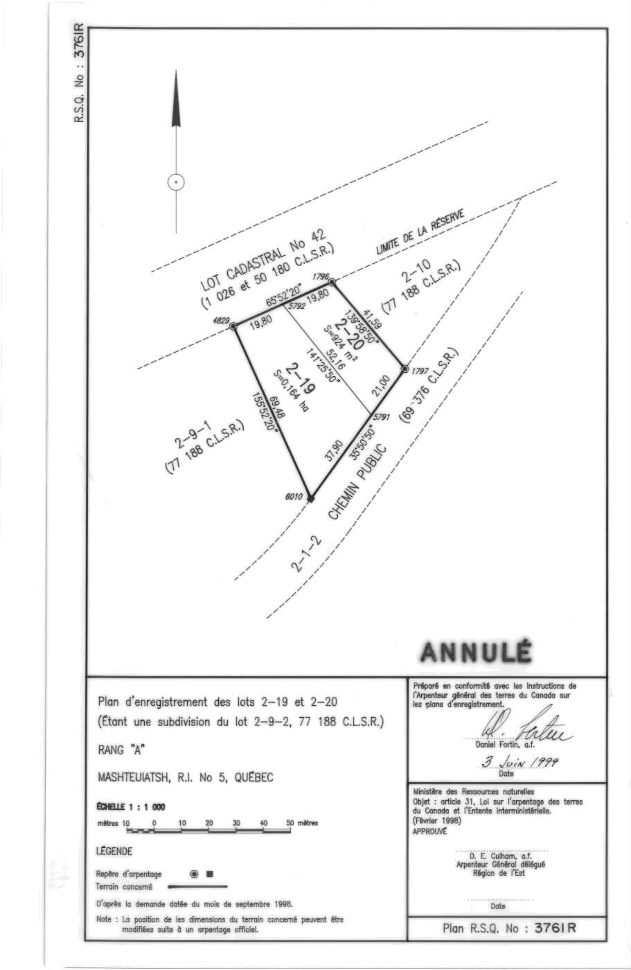
Survey Plan Details
| Plan Number |
3761R RSQ QC |
| Title |
PLAN D'ENREGISTREMENT DES LOTS 2-19 ET 2-20, RANG A (ANNULÉ). (fra; CAN)
|
| Description |
NUL |
| Surveyor |
FORTIN, D. ()
|
| Canada Land(s) |
MASHTEUIATSH (06101)
|
| First Nation |
PREMIÈRE NATION DES PEKUAKAMIULNUATSH |
| Date Surveyed |
|
| Date Recorded |
2002-11-01 |
| Project Number |
|
Related Documents
Related Documents
| Document Type |
Related Number |
Remarks |
| ASSOCIATED NUMBER |
77188 CLSR QC
|
|
Plan Images and/or Fieldbooks
Plan Images and/or Fieldbooks
| File Name |
File Size |
Last Modified Date |
File Format |
|
rsq3761r.djvu |
10.72 KB |
2005-06-24 |
DJV |
|
rsq3761r.jpg |
100.58 KB |
2005-06-24 |
JPG |
|
3761RRSQQC.PDF |
505.44 KB |
2021-06-14 |
PDF |
This record is licensed under the Open Government Licence - Canada.