Survey Plan Details

Details

Survey Plan Details
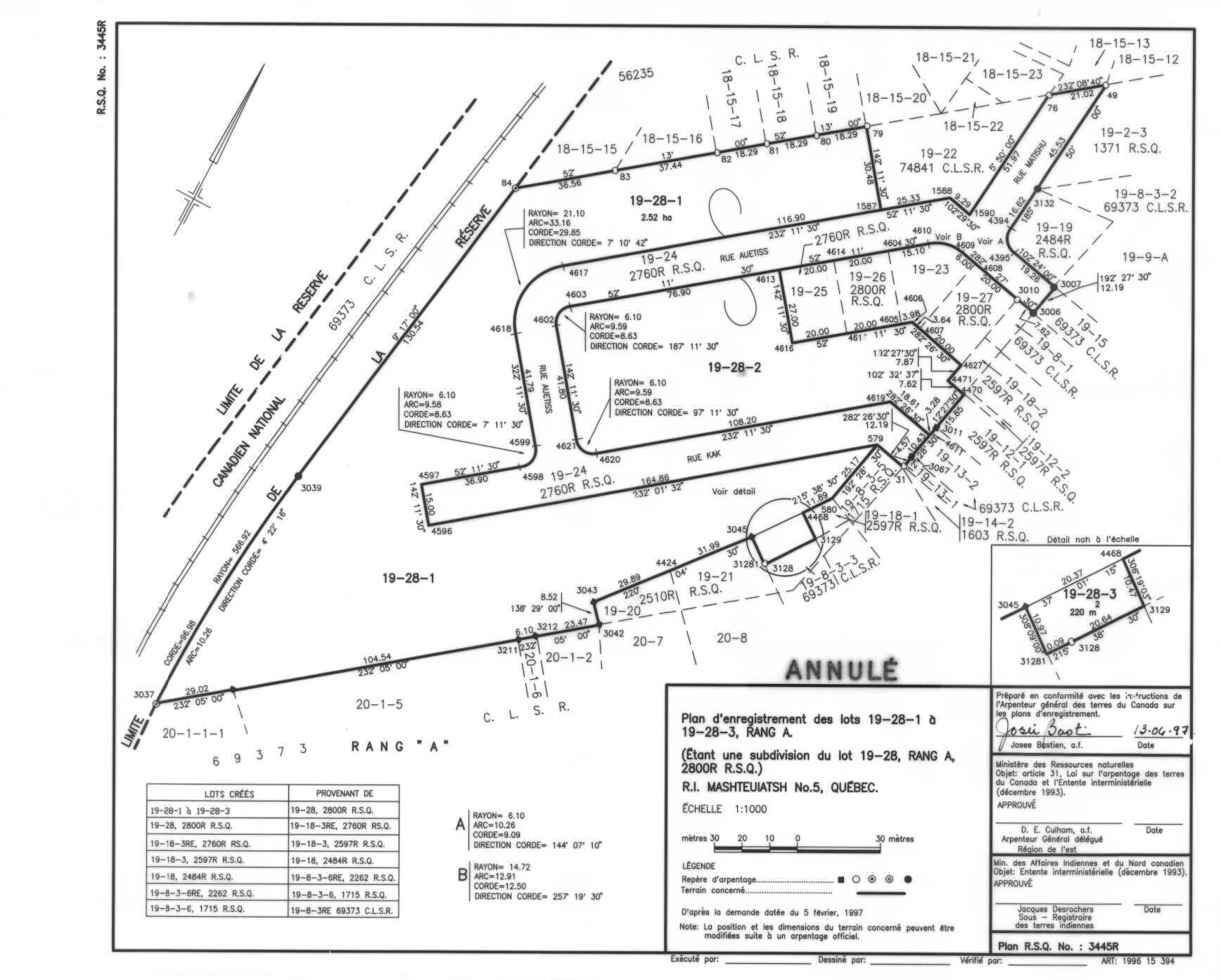
Plan Number 3445R RSQ QC
Title PLAN D'ENREGISTREMENT DES LOTS 19-28-1 À 19-28-3, RANG A (ANNULÉ). (fra; CAN)
Description ART.:1996 15 394
Surveyor BASTIEN, J. (1512)
Canada Land(s) MASHTEUIATSH (06101)
First Nation PREMIÈRE NATION DES PEKUAKAMIULNUATSH
Date Surveyed
Date Recorded 2002-11-01
Project Number

Related Documents

Related Documents
Document Type Related Number Remarks
ASSOCIATED NUMBER 69373 CLSR QC

Plan Images and/or Fieldbooks

Plan Images and/or Fieldbooks
File Name File Size Last Modified Date File Format
3445RRSQQC.PDF 1.37 MB 2021-09-27 PDF
rsq3445r.djvu 34.13 KB 2005-06-24 DJV
rsq3445r.jpg 245.90 KB 2005-06-24 JPG

This record is licensed under the Open Government Licence - Canada.